AG Steve Marshall leads 13-state SCOTUS amicus brief in support of cross in public park

Alabama Attorney General Steve Marshall led a group of 13 states in filing an amicus brief Thursday to the U.S. Supreme Court in support of the City of Pensacola’s right to maintain a historic cross in a downtown public park. “At issue is the right of the City of Pensacola to keep a public landmark in a city park,” said Marshall. “The landmark in this case is a simple Latin cross erected in a corner of Bayview Park by the citizens of Pensacola as the nation was preparing to enter the Second World War.” Marshall’s filing, in the case Amanda Konrat’yev v. City of Pensacola, Florida, was in response to the well-known Bayview Cross in a Pensacola public park that was ordered to be taken down last summer following a controversial ruling where a federal judge decided in favor of a group of people who sued the city who claimed the cross is offensive. The City of Pensacola asked the Supreme Court last month to hear the case to decide whether or not symbols like historic crosses can stand in the public square. “For 77 years, the cross has served as a backdrop for community events and memorial services honoring veterans,” Marshall added. “Given the history and significance of this beloved local landmark, it defies reason that Pensacolans should be forced to remove it because its presence is now perceived to conflict with the Constitution’s prohibition of the establishment of religion. This distorted view of the law, which has unfortunately been upheld by two federal courts, is a serious challenge to the public’s ability to retain historic religious symbols on thousands of monuments and memorials on public property across America.” Marshall continued, “The impact of this question travels far beyond Pensacola. I was in our Nation’s Capital a few weeks ago and noticed thousands of crosses lining the hills of Arlington overlooking Washington, D.C. Should they now be ripped out of the ground because they can also be viewed as religious symbols? Even members of the federal appeals court panel that ruled against the City’s ability to display the cross have called into question the legal precedent used to challenge such displays.” Alabama was joined by Arkansas, Colorado, Georgia, Idaho, Indiana, Kansas, Louisiana, Ohio, Oklahoma, South Carolina, Texas and Utah in the filing.
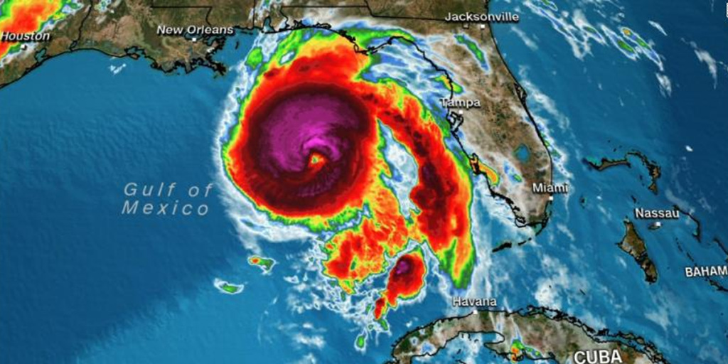
Martha Roby: Hurricane Michael recovery continues

As Hurricane Michael recovery efforts continue, we are gradually learning the full scale of damages portions of our district are facing. The setback for the agriculture industry is severe, to say the least. In the immediate aftermath of the storm, I traveled to the Wiregrass to see firsthand what some of our farmers are experiencing. The devastation is heartbreaking. Agricultural damage from Hurricane Michael across Alabama, Florida, and Georgia is projected to top $1.3 billion in total losses, with cotton, pecans, and poultry commodities hit the hardest. An expert with the Alabama Cooperative Extension System estimates the loss to our state’s cotton crop alone could eclipse $100 million. That sum does not include the impact the storm had on livestock, peanuts, and timber. When I was on the ground in the Wiregrass, I even saw 1,500 acres of cucumbers that might not make it to harvest. Our farmers are in the midst of a very real crisis. In Alabama’s Second District, agriculture is the backbone of our economy, and throughout my time in Congress, I have always made it a priority to fight for our farmers of all commodities. Their work to provide the food and fiber we depend on is vitally important. I will continue to advocate for them, especially at this very uncertain time as we work to put the pieces back together for these hardworking men and women who have suffered tremendous loss to their livelihoods. In the wake of this disaster, Governor Kay Ivey requested that Agriculture Secretary Sonny Perdue declare our hurricane-damaged counties in Alabama as agriculture disaster areas. She also requested the maximum assistance be made available to our state through existing Department of Agriculture (USDA) and Farm Service Agency (FSA) programs. I, too, have been actively engaged with Secretary Perdue, and I recently penned a letter to him voicing my support for the Governor’s request. It is imperative that our farmers receive the most fitting and best available assistance from USDA during this time, and I am confident Secretary Perdue understands the severity of the devastation that occurred to agriculture in our state. I will remain in close contact with USDA to address any further needs the Department may require in getting our farmers the help they need in the weeks and months to come. As we work through this season of rebuilding together, I’ve been encouraged to see and hear about so many acts of kindness and charity in our district and throughout the Southeast. As a local example, when Tate’s Supermarket in Hartford lost power during the bad weather, they were unable to keep their refrigerated food stock cold. So, they emptied their freezers, prepared the food, and gave it away on to-go plates for anyone in Geneva County who needed a meal. This time of recovery will not be easy, but if we continue to help each other in whatever ways we are able, we will get through this. If you or someone you know needs assistance in the aftermath of Hurricane Michael, please contact one of my offices. My staff and I work for you, and we are committed to ensuring that you know the options available to you during this trying time. Most importantly, please continue praying for the families who were impacted by this disaster. ••• Martha Roby represents Alabama’s Second Congressional District. She lives in Montgomery, Alabama, with her husband Riley and their two children.
Donald Trump revives fiery immigration talk for ‘caravan’ election

Donald Trump fueled his 2016 campaign with fiery immigration rhetoric, visions of hordes flowing across the border to assault Americans and steal their jobs. Now, in the final weeks before midterm elections, he’s back at it as he looks to stave off Democratic gains in Congress. It’s an approach that offers both risks and rewards. He could energize Democratic foes as well as the Republicans he wants to rouse to the polls. But for the president, the potential gains clearly win out. In campaign stops and on Twitter in recent days, he has seized on a huge caravan of Central American migrants trying to reach the United States through Mexico as fresh evidence that his tough immigration prescriptions are needed. He tweeted that the caravan was an “assault on our country at our Southern Border.” Then, Thursday night in Montana, he told cheering supporters, “This will be an election of Kavanaugh, the caravan, law and order and common sense. … Remember it’s gonna be an election of the caravan.” His assertions got a visual boost Friday when some members of the caravan broke through a Guatemalan border barrier with Mexico. A few then got through to Mexican territory, but most were repelled by police with riot shields and pepper spray. On an aggressive campaign blitz, Trump has sought to cast the midterms as a referendum on his presidency, believing that he must insert himself into the national conversation in order to bring Republicans out to vote. Perhaps no issue was more identified with his last campaign than immigration, particularly his much-vaunted — and still-unfulfilled — promise to quickly build a U.S.-Mexico border wall. To Trump, his pledges are still rallying cries. “I think it’s a big contrast point. All the Democrats are refusing to build the wall. It’s a good contrast,” said former Trump campaign aide Barry Bennett, who said the caravan was “perfectly timed” for Trump’s midterm pitch. But some warn that as Trump seeks to pump up his base, he could energize opposition. Matt Barreto, co-founder of the research firm Latino Decision, said an elevated immigration message could hurt Trump, too. “I think you run the risk of angering minority voters across the board, Latino, black and Asian-Americans and also alienating and distancing from whites, including conservatives and moderates, now that they see what’s happening with the family separations,” said Barreto, a professor at the University of California, Los Angeles. Thursday night, the migrant caravan of at least 3,000, many waving Honduran flags and chanting slogans, arrived at the Guatemalan border with Mexico. On Friday, they broke down Guatemalan gates and streamed toward a bridge to Mexico. Most were repelled by Mexican police, but about 50 got through. Mexico’s dispatching of additional police to its southern border seemed to please Trump. On Thursday night, he retweeted a BuzzFeed journalist’s tweet of a video clip showing the police deployment, adding his own comment: “Thank you Mexico, we look forward to working with you!” Earlier in the day, Trump railed against the caravan on Twitter and declared it was “Democrats fault for weak laws!” He also threatened to deploy the military to the border if Mexico did not stop the migrants and appeared to threaten a revamped trade deal with Canada and Mexico. Until days ago, immigration appeared to be unlikely to repeat its central role of 2016, as Trump heeded congressional Republican requests to avoid a government shutdown over funding for the border wall ahead of the midterms. And an internal GOP poll presented to the White House last month found that other issues — particularly opposing the “Medicare for All” policy of some Democrats — would better resonate with voters. While Trump did focus for a time on some Democrats calling for the abolition of the Immigration and Customs Enforcement agency, he largely discussed it as a warning against Democratic control of Washington. But the renewed embrace of the polarizing issue reflects a consensus view in both parties that control of Congress will be determined more by turning-out party loyalists than winning over centrist voters. A vigorous immigration push will likely be well-received in many of the deep-red areas where Trump is campaigning, like his stop in Montana Thursday night. Republicans acknowledge it could play differently in other parts of the country — and might even harm GOP candidates in some selected districts — but they are wagering that as in 2016 it is still a net-win issue for the president’s party. Trump campaigns Friday night in Arizona, an increasingly competitive state where the message could have a mixed result. He won Arizona by 3.5 percentage points two years ago, compared with Republican Mitt Romney’s 9-point margin in 2012. Ahead of the midterms, polls continue to show that voters consider immigration among the most important issues, though generally falling behind the economy and health care. However, Republican and Democratic voters have distinctly different views of immigration as a problem facing the country. A recent Pew Research Center survey found a majority of Democratic voters — 57 percent — think the treatment of immigrants in the country illegally is a very big problem in the U.S., compared with just 15 percent of Republican voters who say the same. By contrast, three-quarters of Republican voters call illegal immigration a very big problem, ranking the highest for Republicans among the long list on Pew’s survey, while just 19 percent of Democratic voters say the same. Recently, surveys from CNN and The Washington Post/ABC News found voters were slightly more likely to think the Democratic Party would do a better job handling immigration than the Republican Party. Republished with permission from the Associated Press.
Here’s what the state is selling in the Oct. 24 ADECA surplus property auction
Vehicles, computers, office furniture, TVs, refrigerators, metal detectors and even marine radar and sonar equipment are just a few of the more than 600 lots of items up for bid at the state surplus property auction. The Alabama Department of Economic and Community Affairs (ADECA) will host the surplus property auction Oct. 24 at its warehouse in Montgomery. The sale begins at 8 a.m. and continues until the last item is sold. In addition to property no longer needed by state and federal agencies, ADECA acquires items abandoned voluntarily at several airports in the Southeast. A photo ID and social security number or federal employee ID is needed to bid on items. Auction items can be inspected on-site from 8 a.m. to 4 p.m. Monday and Tuesday. ADECA conducts public auctions about three times a year, but surplus items are available at any time to municipal and county governments, state agencies and qualified nonprofit organizations. In addition to the surplus property program, ADECA administers an array of grant programs for law enforcement and traffic safety, economic development, energy conservation, water resource management and recreation development. The ADECA warehouse is located at at 4590 Mobile Highway. Click here for a full list of auction items.
Alabama regulators warn investors about jumping on the cannabis bandwagon

The Alabama Securities Commission is cautioning investors about schemes and risks associated with marijuana-related investments. Investments in marijuana business ventures are becoming more prevalent and are receiving increased media coverage. Scammers frequently use the latest “hot product” on the market to drive up interest and lure investors to get in on the “ground floor” of the next huge investment opportunity to convince investors to hand over money for risky or outright fraudulent marijuana ventures. Common marijuana investment schemes: Reverse Merger Scam: The marijuana company’s promoters buy the stock of a publicly traded company that has no assets or current operations. The promoters use the public listing to create a false sense of security surrounding the marijuana business, and unscrupulous brokers collect commissions selling the stock to investors. Pump & Dump Schemes: A “Pump & Dump” scheme occurs when scammers use misinformation or tout an investment to pump up the price of a security and then dump their shares when the price gets high enough to turn a profit, leaving innocent investors holding with potentially substantial losses. Crowdfunding Schemes: Marijuana-related companies may try to use new crowdfunding rules to raise capital from a broad base of investors using the internet. Even without any fraudulent intent from promoters, these investments tend to be in risky, undercapitalized start-ups. Jurisdiction-Specific Illegal Marijuana Schemes: Scammers may make promises about insider information concerning a new law or regulation that will legalize marijuana in a jurisdiction where it is currently prohibited. Investors may be encouraged to “get in now,” buying low and making huge profits when a new law or regulation is enacted. In reality, there may not be any new laws or regulations pending, allowing the scammers to take the money and run. Given the rapidly changing laws concerning marijuana, even an investment in a legitimate marijuana business may have extra risk.
Mallory Hagan says state removed many voters from rolls, labeled inactive

Congressional hopeful Mallory Hagan on Thursday held a press conference on the steps of the Tuskegee Courthouse where she announced a “shockingly high” number of Alabama voters from her district had been removed from active voter lists over the past year, prompting her to create a Voter Protection Committee. Hagan is the Democratic nominee in Alabama’s 3rd U.S. District where she is challenging incumbent U.S. Rep. Mike Rogers. She said her campaign found “well over 55,000 voters have been disqualified or labeled ‘inactive’ since February of 2017 in the 3rd Congressional District alone.” “Eight months ago, I chose to run for this office because I saw the people around me, the people I know and love, struggling.” said Hagan. “…not through a fault of their own, or through an act of god, but struggling because every day the people of East Alabama face unnecessary bureaucratic burdens. Our schools lack funding, our college students drown in debt, our veterans are denied the care they need, our leaders are wallowing in corruption and our hospitals are closing. My community and our state’s people deserve better.” She continued, “Today, I tell our voters that we must be on high alert… According to our most recent findings, more than 1 in 10 voters here in East Alabama have been removed from the active voter rolls. These voters are either entirely disqualified or have been marked ‘inactive’… We have reason to believe this number is much higher.” Hagan said the Voter Protection Committee was created in order to protect voters from voter suppression efforts between now and election day.The committee will be comprised of lawyers throughout the district working pro-bono to assist in monitoring and addressing voter suppression concerns. “To the voters of East Alabama, I say this: we have your back. If you fear your voice will be lost in the system, if you don’t trust that a government that has failed you could ever be fixed, know that change will not happen until we step up, even when the going gets hard. We cannot allow complications to derail the very elections which are the foundation of democracy. Check your registration status today, find your polling place, and get your ID ready,” Hagan added. Voter roll removal Beginning in January of 2017, as required by the National Voter Registration Act (NVRA), the Alabama Secretary of State’s Office began a process of contacting all 3.3 million registered Alabama voters. This process, also required under state law, is a two-part mailing program to contact voters and give them the opportunity to verify or update their voter registration information. Additionally, this process provides for the removal of voters that fail to respond to the mailer for that four year election cycle and do not participate in any election during that same four year period. The process begins with non-forwardable postcards being mailed to every registered voter in Alabama. The post card asks the recipient to review their registration information and if the information is accurate they are asked to retain the card. If the information is incorrect or needs to be updated or if the voter on the card no longer lives at that residence the voter is asked to mark return to sender on the card and place it back in the mail. When the voter places the card back in the mail each postcard is delivered to the local county board of registrars office. At that time, it is scanned into the system and recorded that the card was returned. A second post card follows the first mailing but is only sent to the registered voters for which the first postcard was returned to sender. This postcard is allowed to be forwarded to voters that may have a forwarding address on file with the post office. These post cards inform voters that the initial mailing was marked return to sender and that they should either update their information or contact the registrars office to have their name removed if they are no longer located in the state. Voters are also able to update their information through the Secretary of State’s online voter registration platform or the Vote for Alabama app (available for Android and iOS devices). Voters that do not respond to this mailing or that have their postcard returned to sender will be marked as inactive. Inactive voter registration status means that a voter is able to vote as a normal voter on election day but they will also be asked to update their voter registration information when they visit the polls on election day. Voters that wish to check their registration status can do so in a multitude of ways. To check your status electronically voters can visit https://myinfo.alabamavotes.gov/VoterView/Home.do. To check via phone voters can call the Secretary of State’s Office at (334) 242-7210 or their local board of registrars office. The last day to register to vote is Monday, Oct. 22. Election Day is Tuesday, Nov. 6.
States and feds unite on election security after ’16 clashes

Weeks before the 2016 election, federal officials started making mysterious calls to the head of elections in Inyo County, California. They asked her to contact them if she noticed anything unusual. But they wouldn’t elaborate. “I asked them: ‘How am I going to be able to protect against it if I don’t know what it is?’” said the official, Kammi Foote. Now, Foote communicates regularly with federal officials. They came to her small county of about 10,000 registered voters to analyze the security of her ballot system. She participates in state and federal information-sharing groups that didn’t exist two years ago and is getting a sensor that can help detect unwanted intrusions. “I’m feeling optimistic,” Foote said about the Nov. 6 election. “I feel like the entire field of election administration has grown and matured in their ability to understand the cyber component and cyberthreats.” Election officials and federal cybersecurity agents alike tout improved collaboration aimed at confronting and deterring election tampering. Granted, the only way to go was up: In 2016, amid Russian meddling, federal officials were accused first of being too tight-lipped on intelligence about possible hacking into state systems and later for trying to seize control from the states. Officials from Homeland Security, the department tasked with helping states secure elections, say the midterms will be the most secure vote in the modern era. They said they haven’t yet seen the type of infiltrations that happened in 2016. Still, cybersecurity experts aren’t so sure the improved security and local-federal cooperation will be enough, given the breadth of threats that electoral systems may face. States run elections, a decentralized process that makes it harder for anyone to conduct a nationwide attack on the electoral system. The downside is there is no national playbook. The 10,000 or so election jurisdictions use a combination of paper ballots scanned into computers, entirely computerized ballots stored online and old-school paper ballots, marked and hand-counted by humans. With the realization that Russian-backed agents were interfering with the 2016 vote, then-Homeland Security Secretary Jeh Johnson designated election systems as “critical infrastructure,” a change that allowed the federal government more leeway to help states. There is no evidence that votes were altered in 2016, but intelligence officials say all 50 states had some type of intrusion, though only a few were compromised, like in Illinois, where records on 90,000 voters had been downloaded. Johnson’s decision irked some local officials concerned about the federal government meddling in their elections. “We don’t like to be told what to do without any say,” said John Merrill, Alabama’s secretary of state. Federal officials concede the beginning was rocky. “Communication was not a key element of the initial rollout,” Christopher Krebs, Homeland Security’s cybersecurity chief, said at a recent election security conference. “When I look at where we are right now, the single most important factor that has been established … with our state and local partners is trust.” States are managing antiquated machinery, built by a few unregulated and secretive vendors. The outdated software is highly vulnerable to cyberattacks. Online voter registration databases are frequent targets. Election systems are constantly under fire — efforts to steal sensitive data, disrupt services and undermine voter confidence. “We experience thousands of attempts every day,” Vermont Secretary of State Jim Condos said. In one example, he said his state recently reported that it had blocked two intrusion attempts into its online voter registration database. The federal government, using data from the sensors, traced the attempts to addresses that originated in Russia. State election officials aren’t cyber experts and government jobs don’t pay enough to attract high-level private-sector information technology workers. To assist states, Homeland Security offered them vulnerability assessments and help responding to incidents — so far, 37 states have signed up. Secretary Kirstjen Nielsen has urged states to make their systems auditable. Her department has funded “Albert sensors,” systems that can detect attempts to hack into networks. So far, 31 states and 61 counties have installed sensors. “They are valuable because they give visibility to us, to DHS about what’s going on,” said John Gilligan, executive chairman of the Center for Internet Security, a cybersecurity venture funded by government, academia and the private sector. State officials say the sensors, while limited, work to paint a picture of what’s happening across the country. “It doesn’t offer a specific defense,” said Noah Praetz, elections director for Cook County, Illinois. “But it does offer the potential for information.” Cybersecurity experts warn, however, that the Albert sensors won’t detect all forms of intrusion. “If something more sophisticated gets in … it’s going to be very, very difficult to detect them,” said Bob Stasio, a former National Security Agency supervisor. The department this year created the Elections Infrastructure Information Sharing and Analysis Center to help state and local election jurisdictions share information on cyberthreats and security. The Center for Internet Security runs it, and more than 1,100 counties in 50 states are signed up. Foote, of Inyo County, said her partnerships with other states have increased her trust of federal officials. She reached out to colleagues in Colorado when she invited federal agents into her county. “I was still nervous about it,” she said. “But when they got here, what really set my mind at ease was these were not partisan, ideologue people. These are the rank-and-file. They’re experts in cybersecurity.” Federal officials are handing out security clearances to state and local officials so some can read in on classified briefings, but so far, fewer than 100 have been given. And local officials still know very little about what happened in 2016. “I never received any information and still — to this day — I have no inside access to anything more than what’s reported in the media and the general public on what those threats are,” Foote said. Republished with permission from the Associated Press.
Walt Maddox wants Kay Ivey to release medical records, suggests cover-up

Alabama gubernatorial challenger Walt Maddox is asking Governor Kay Ivey to release more information on her 2015 hospitalization, including if her office told the state trooper accompanying her to keep it secret. Maddox said in a press conference today, the issue is not Ivey’s health, but if there was a “cover up”. Maddox said voters need to know if Ivey “can be trusted.’ Ivey is disputing allegations by former law enforcement secretary Spencer Collier. Collier says the trooper said an Ivey staffer directed him not to tell his bosses. Collier said Ivey asked to have the trooper reassigned. Collier says the trooper reported she had a mini stroke. Ivey says she had altitude sickness. Ivey’s campaign said Maddox is pushing “last second lies” because he is trailing. Republished with permission from the Associated Press.
Poll: Just 1 in 4 thinks Brett Kavanaugh told entire truth

Just 1 in 4 people thinks Brett Kavanaugh was completely honest when as a Supreme Court nominee he gave sworn testimony to the Senate Judiciary Committee last month, with Republicans and Democrats holding starkly distinct opinions of his credibility, according to a poll released Friday. The Associated Press-NORC Center for Public Affairs Research survey also found that the public holds tepid views of how major players handled the extraordinary battle, which culminated Oct. 6 in an exhausted Senate’s near party line confirmation of Kavanaugh. President Donald Trump, Senate Republicans and Democrats and the FBI each earned approval from 32 percent or less of the poll’s respondents. Overall, 39 percent said they believe Kavanaugh was mostly honest but was hiding something when he testified last month before the Senate Judiciary Committee, the drama’s most unforgettable day. Another 31 percent said he was largely lying, and 25 percent said he was totally truthful. A combative Kavanaugh denied California college professor Christine Blasey Ford‘s testimony to the committee that he sexually assaulted her at a 1980s high school gathering when they were teenagers, and he rebutted classmates’ descriptions of him as a heavy drinker. The question was among several that underscored how stances over the searing confirmation battle are deeply colored by people’s political allegiances and less so by gender. Republicans hope that partisan tensions heightened by the fight will drive conservative voters to the polls in the Nov. 6 elections, when GOP control of the House and the Senate is at stake. Six in 10 Republicans, including 57 percent of men and 64 percent of women, said they think Kavanaugh was entirely truthful when he appeared before the Judiciary panel. They included Ricky Richards, who took the survey and agreed to explain his views in a subsequent interview. Richards said he believed Kavanaugh, citing repeated FBI background checks that unearthed no wrongdoing, testimony from supportive witnesses and the body language of Kavanaugh and his wife at the crucial Judiciary session. “He was angry, but he handled himself better than I would have,” said Richards, a 59-year-old engineering consultant from Clifton, Texas. He said Ford’s testimony seemed “purely scripted,” and he faulted her for not recalling some details of what she says happened to her, which experts have said is common for trauma victims. Fewer than 1 in 10 Democrats, men and women, said they think Kavanaugh was fully candid during his appearance. Just over half said he was mostly lying while the rest said he was largely truthful but was hiding something. “It’s just the way he presented himself, the way he answered questions. He was so defensive,” said Barbara Heath, a 60-year-old Democrat and former factory worker from Springfield, Ohio. “To me, he was covering up a lot of things.” Overall, 43 percent disapprove of Kavanaugh’s confirmation while 35 percent approve. More independents disapprove than support his confirmation, 35 percent to 17 percent, while the remaining respondents do not have a strong opinion either way. Forty percent of all men approve of Kavanaugh’s elevation to the high court, while only 30 percent of women do. Yet party identification washes much of that difference away: Around three-quarters of Republican men and women favor Kavanaugh’s confirmation, a view shared by only about 1 in 10 Democrats of both genders. Americans are about evenly divided over whether the Judiciary panel treated Kavanaugh fairly. In contrast, 42 percent thought the committee was unfair to Ford while 30 percent said it was fair to her. Nearly two-thirds of college-educated women said Ford was treated unfairly, a potentially damaging finding for House Republicans defending competitive suburban districts in next month’s elections. The poll also found that: The role played by Trump, who nominated Kavanaugh in July and criticized Ford and another accuser, was strongly or somewhat approved by 32 percent, about the same rating given to Senate Republicans. Senate Democrats won such approval from just 24 percent. Only 3 in 10 said the FBI did a good job. Trump hurriedly ordered the agency to perform a brief investigation of the sexual-harassment allegations against Kavanaugh and said it found no corroboration in a probe Democrats criticized as insufficient. Around 1 in 3 said that since Kavanaugh’s confirmation they have a lot of confidence in the Supreme Court. The rest have only some or hardly any confidence in the nation’s highest court. Eight in 10 Democrats, compared to 6 in 10 Republicans, said a Supreme Court nominee’s personal history and character are extremely or very important. The AP-NORC poll was conducted Oct. 11-14 by The Associated Press-NORC Center for Public Affairs Research, with funding from The Associated Press and NORC at the University of Chicago. It involved interviews conducted in English and Spanish with 1,152 adults nationwide. Interviews were conducted online or by phone among members of NORC’s probability-based AmeriSpeak panel, which is designed to be representative of the U.S. population. The margin of error is plus or minus 4 percentage points. Republished with permission from the Associated Press.
